$275,000
3328 Route 148
Pontiac
Pontiac
Type
Vacant lot
Bedrooms
N/A
Living area
N/A
Bathrooms
N/A
MLS® 28636064
Property description
Commercial. Rare opportunity. Excellent location. This developpment site has a host of usage possibilities. See listing broker.
Details
Taxes and expenses
| Municipal Taxes | $1,926 |
| School taxes | $9 |
Building and interior of the property
| Expected delay of occupancy | 30 days |
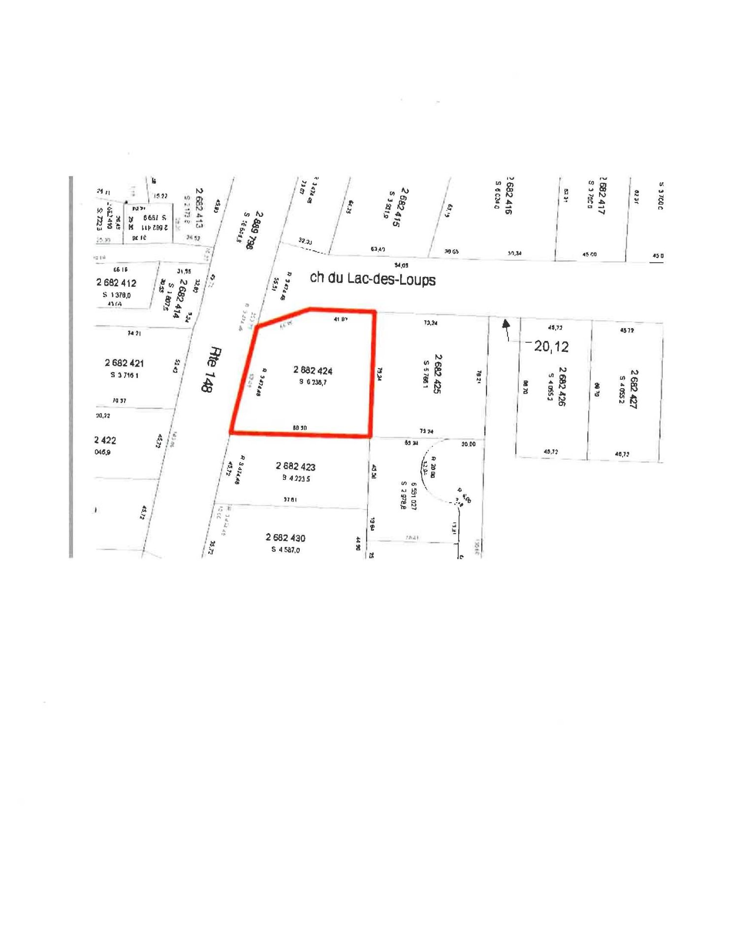
| Land area | 6238.7 SM |
| Dimension of the front of the land | 69.49 M |
| Dimension of the depth of the land | 88.98 M |
| Municipal assessment (land) | $64,000 |
| Municipal assessment (building) | $57,000 |
| Municipal assessment (total) | $121,000 |
| Assessment year | 2026 |
| Water supply | Artesian well |
| Sewage system | Septic tank |
| Zoning | Commercial |



